| |
Domini: EUKARYOTA |
Regne: ANIMALIA |
Fílum: ARTHROPODA |
Classe: INSECTA |
Subclasse: PTERYGOTA |
Superordre: ENDOPTERYGOTA |
Ordre: NEUROPTERA |
Subordre: HEMEROBIIFORMIA |
Superfamília: MANTISPOIDEA |
Família: MANTISPIDAE |
| |
| Espècie: |
|
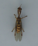
Mantispa styriaca |
| |
|
| |
|
|
|
|
| Mantispidae |
|
|
|
|
 |
 |
 |
 |
 |
| |
|
|
|
|
 |
 |
 |
 |
 |
| |
|
|
|
|
 |
 |
 |
 |
 |
| |
|
|
|
|
 |
 |
 |
 |
 |
| |
|
|
|
|
| |
|
|
|
|
| |
Perifèria dels Ports: |
|
| |
|
|
|
|
 |
|
|
|
|
| |
|
|
|
|
|